2010年8月2日环球媒体连连看
原题:British scientists find the world's sixth-largest river... at the bottom of the SEA

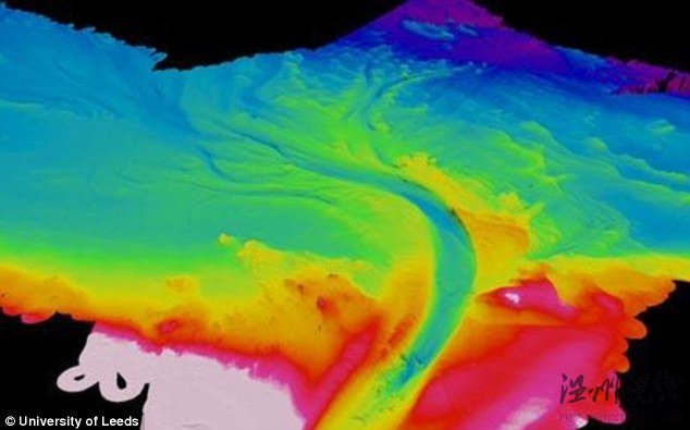
3D影像下的黑海水下河
国际在线专稿:据英国《每日邮报》8月1日报道,英国科学家日前在黑海下发现一条巨大水下河,深达38米,宽达800多米。按照水流量标准计算,这条地下大河堪称世界上第六大河。像陆地上的河流一样,地下河也有纵横交错的河渠、支流、冲积平原、急流甚至瀑布。
英国利兹大学研究团队日前使用遥控潜艇对土耳其附近海床进行扫描,发现了这条大河。这条河的流速为每小时6.4公里,河水流量每秒钟高达2.2万立方米。按照流量计算,这条河流是泰晤士河的350倍,比欧洲最大河流莱茵河大10倍。这是截至目前为止,发现的唯一一条活跃的海下河流。其河水来自地中海,经过博斯普鲁斯海峡,最后进入黑海。
领导这个研究团队的丹·帕尔森博士说,深海河流也像陆地上的河流一样,能够冲出深海平原。只是深海平原就像海洋世界中的沙漠一样荒芜,这些地下河渠能够将生命所需的营养成分带到这些沙漠中来。因此,这些海下河流非常重要,就像是为深海生命提供营养的动脉要道。
科学家们很久以前就怀疑存在海底河流,经过声纳探测已经在全世界大洋下发现许多河渠。但是至今没有发现有河水通过这些河渠的迹象。这些河渠中规模最大的位于巴西沿岸,那里是亚马孙河进入大西洋的河口,河渠长达4000公里,数千米宽。

3D影像下的黑海水下河

发现海地河流的位置
本文“”来源:http://www.lkttc.com/keji/dizhen/33289.html,转载必须保留网址。((杨柳))







