
超强台风美莎克卫星云图
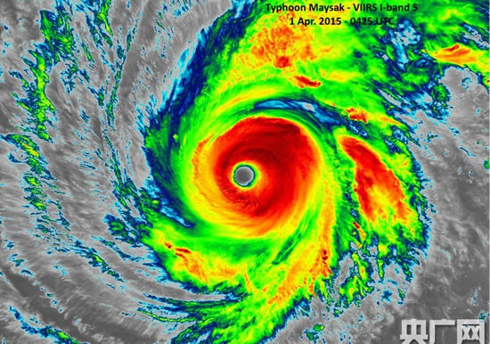
超强台风美莎克卫星云图看起来台风眼清晰明显,这是2015年3月31日空间站的宇航员拍的,这是美莎克接近最大强度时候的卫星云图,今年第4号台风美莎克最新台风实况显示,4号台风的强度已经由最强的65米/秒减弱为52米/秒,路径保持向西偏北移动。

超强台风美莎克卫星云图

今年第4号台风美莎克最新路径图
2015年3月31日晚上8点到4月1日凌晨2点,是今年第四号台风美莎克鼎盛时间,强度竟然达到65米/秒,风力17级以上。到了4月1日上午8点,美莎克强度降低为62米/秒,到4月1日晚上8点,整整一个白天,美莎克强度从65米/秒降低到55米/秒。

超强台风美莎克卫星云图

超强台风美莎克卫星云图
从温州台风网同步中央气象台的卫星云图上看,目前美莎克外围云系薄弱,预计超强台风美莎克将持续减弱,登陆菲律宾以后,美莎克风力可能会降到12级以下。
台风美莎克未来一周不会影响温州。
本文“”来源:http://www.lkttc.com/wenzhou/taifeng/58200.html,转载必须保留网址。(yujeu)







